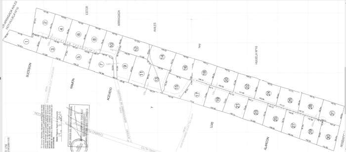
Venta Parcela N° 8 en Condominio Altos de La Candelaria, Pucón

Candelaria Alto, Pucón, Araucanía, Chile

UF 2.580

ID 1510
5000m²

Descripción

Hermosa parcela ubicada en condominio consolidado con privilegiada vista al lago Villarrica. Ubicada a 12 km del centro de Pucón y a 18 km de Villarrica, por carretera asfaltada, segunda faja, excelente conectividad.

Características de la parcela:
•Terreno con pendiente leve, en el cual ya se desarrolló un terraplén de 500 m2 para la construcción de la casa.
•Orientación norte, sol todo el día.
•Hermoso bosque de árboles nativos, entre los cuales destacan Hualles, Arrayanes y un gran Coihue.
•Cierre perimetral en 3 de los 4 deslindes de malla y polines.
•Luz en el acceso de la parcela.
•Derechos de agua de 0.2 lt/seg
•Fibra óptica.
•Condominio cuenta con acceso controlado.

•Gastos comunes por mes $30.000
•Contribuciones $32.000 aprox.

Valor de venta:
•UF 2.580

Detalles de la Propiedad
  • ID: 1510
  • Estado: Venta
  • Valor: UF 2.580
  • Sup. de tierra: 5.000m²
  • Vista al Lago
  • Lomaje Suave
Planos
Planos Venta Parcela N° 8 en Condominio Altos de La Candelaria, Pucón